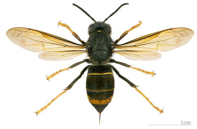
La Vespa velutina, comunemente chiamata Calabrone asiatico, per distinguerla dalla Vespa orientalis nota come Calabrone orientale, costituisce una seria minaccia per tutta l’apicoltura italiana. E’ un predatore la cui dieta è costituita in gran parte di api che caccia in prossimità dell’alveare. I danni non derivano solo dalle numerose bottinatrici predate ma anche dallo stress recato alla colonia che, sotto una continua predazione, azzera l’attività di volo e la deposizione delle uova, arrivando al collasso. Considerata la pericolosità della specie è assolutamente necessario cercare di individuare e distruggere i nidi e per far questo abbiamo bisogno della collaborazione di tutti gli apicoltori e non solo. Limitare la diffusione di questo insetto può voler significare la salvezza di molti apiari sul suolo nazionale. Nel caso di avvistamenti di qualsiasi nido, ecco come procedere:
Per informazioni e segnalazioni: www.stopvelutina.it – Tel. 115 in caso di pericolo per la cittadinanza.
Per l’identificazione è possibile inviare foto al numero whatsapp 345 6423030 o portare gli insetti ai servizi veterinari delle ausl.
